老人继承房产需邻居签字,有人要5万元才签,不动产登记中心:因实际与测绘面积有出入
据新京报报道,河北秦皇岛一名老人继承房产需多名邻居签字,其代理人称一邻居要5万元才签字,所以继承手续一直没办完。

房子门面外观。图/受访者提供
2月21日,老人代理人殷悦告诉九派新闻记者,老人79岁,家庭条件一般,其父母、哥哥相继去世,现位于北街村的一套房产归老人所有。该房产属于城中村位置,现价值估计三四十万。前年老人就准备将该房子过户至自己名下,但在办理手续时,相关部门却称需得到房子周围的邻居签字方能过户。
代理人殷悦称,有三户邻居愿意签字,但另外一户邻居却不愿意签字,“那户人家说签也行,但得拿5万元”。她称,她本来打算起诉有关部门,要求过户,可发布了相关视频后引起关注,有关部门工作人员向她提供了解决方案,此事正在处理协调中。

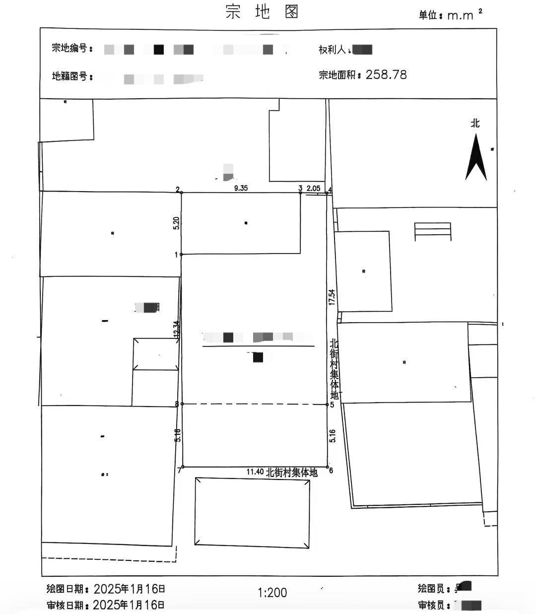
宗地图。图/受访者提供
殷悦提供的房屋所有证显示,该房产用地面积一栏写着200平方米,而最新测量的宗地图中,宗地面积显示为258.78平方米。代理人殷悦介绍,受以前测量手段影响,房子实际形状和房本上测绘的形状会有出入,“现在墙有点倾斜了,实际上往外歪了一点”。
对此,河北秦皇岛抚宁区不动产登记中心一工作人员表示,因房子实际面积和房本上测绘的面积有出入,可能引起争议,“他那个面积变大了,所以得征求别人(邻居)同意”。对于邻居签字是否为房产过户的常规必要程序,其回复“我们领导已经跟代理人在沟通了”,具体情况她并不清楚。
九派新闻记者 陶梓童
编辑 王佳箐 李杨
【爆料】请联系记者微信:linghaojizhe
【来源:九派新闻】
版权归原作者所有,向原创致敬
版权声明:如无特殊标注,文章均为本站原创,转载时请以链接形式注明文章出处。









评论